Járeki haláltábor
A 2011. január 23-i szegedi konferencián elhangzott előadás szerkesztett változata

- októberében a német hadvezetőség hozzálát a bácskai és bánáti német lakosság evakuálásához. A felszólításnak nem mindenki tesz eleget, becslések szerint a Bánátban 120.000, a Bácskában 80.000 német marad, elsősorban asszonyok, gyerekek és az idősebb korosztályok tagjai, illetve mindazok, akik a háborús ellenség jóhiszeműségében oktalanul bizakodnak, s talán abban reménykednek, hogy a fordulat után csak személyre szabott bűnhődés lesz majd, és a kollektív büntetés elmarad. Mások meg házukat, vagyonukat nem akarják őrizetlenül galád fosztogatók szabad prédájául hagyni. Pedig ekkora már a szövetséges nagyhatalmak boszorkánykonyháján a kelet-európai népek sorsa eldöntetett, és a Duna menti németeknek semmi jót sem üzentek a keleti égen felragyogó vörös csillagok. Tito jugoszláv népfelszabadító mozgalma az egész ország németségét kollektív bűnösként kezelte, s elképzelését, mihelyt arra alkalma kínálkozott, azonnal átültette a gyakorlatba. A partizán vezérkar 1944. október 17-én -- miután a jugoszláviai Bánátot elfoglalják az oroszok -- Versecen ülésezik, és következményeiben nagy horderejű határozatokat hoz.
A "nem szláv" -- mindenekelőtt a német és a magyar- lakosság szigorú megbüntetésének céljából elrendelik a katonai közigazgatás bevezetését. Az elkövetkező hetek Vajdaság-szerte a magyar- és németirtó tobzódás jegyében zajlanak, melyből az új jugoszláv biztonsági szolgálat (OZNA), a különféle fölfegyverzet partizán alakulatok, a minden időkben rablásra és fosztogatásra kapható csőcselék és a részben mondvacsinált, részben nagyon is valós sérelmeit megbosszulni akaró délszláv, mindenekelőtt szerb lakosság egy része veszi ki a részét, összhangban a központi akarattal. Az áldozatok összeszámlálása máig szinte reménytelen vállalkozás számba megy, ugyanis a hóhérok nem mindenről vezettek statisztikát, és az eddig előbukkant, utólag készült OZNA-jelentések foghíjasak, önellentmondók.
Visszaemlékezők, publicisták és kutatók a kivégzett és lemészárolt magyarok számát ötezertől negyvenezerig, a hasonló sorsa jutott németekét általában harmincezerre becsülik, de, tegyük hozzá, többféle adat forog közkézen. Tény viszont, hogy az októberi és novemberi eseményekről máig nincs pontos képünk, s addig nem is lehet, amíg nem válnak kutathatóvá a katonai közigazgatás időszakára vonatkozó adatok. Újabban a németek és a magyarok internálására létrehozott gyűjtő- és munkatáborok történetének tudományos feldolgozása és megírása is kecsegtet némi reménnyel, bár az adminisztratív és szemléletbeli akadályok még nem múltak el teljesen. Jó jel, hogy 2007-ben háromnyelvű- szerb, német, magyar -- könyv jelenhetett meg a szikicsi táborról (Istina na primeru Sekića stb., JP Forum- Izdavačka delatnost, Novi Sad) nem túl biztató viszont, hogy az elmúlt években -- többszöri próbálkozás és felszólítás ellenére -- például még a dr. Dragoljub Živković vezette tartományi (tehát állami) ankétbizottságtól is megtagadták a járeki koncentrációs tábor halotti anyakönyveinek bemutatását. Az anyag alaposabb tanulmányozásának megkezdésére csak 2009. januárja óta nyílt módja e sorok írójának.
Milyen célból hozták létre a táborokat?
Az új hatalom tulajdonképpen két célt kívánt elérni: mindenekelőtt kíméletlenül meg kívánta büntetni a németeket s részben magyarokat is, ugyanakkor a legyőzött nemzetek munkaképes felnőtt lakosságát rabszolgaként kívánta alkalmazni, mindenekelőtt a mezőgazdaságban -- az első időkben az őszi termény-betakarítás során. A voltaképpeni cél azonban a német nemzeti kisebbség teljes eltávolítása volt az új állam egész területéről, összhangban a németekre vonatkozó korábbi AVNOJ-i határozatokkal. A jugoszláv kommunisták egy része kezdetben a magyarok tejes (később már csak részleges) kitelepítésének gondolatát is dédelgette, erről a tervéről azonban egy idő után lemondott. A németek kérdésében azonban az új jugoszláv vezetés hajthatatlannak bizonyult. Josip Broz Tito az I. Ifjúsági Antifasiszta Kongresszuson, 1945 januárjában félreérthetetlenül kinyilvánította szándékát: " A németek nem érdemlik meg, hogy országunkban éljenek, és ezért mi *kiköltöztetjük őket." *Az elképzelésbe azonban hiba csúszott, ugyanis a győztes nagyhatalmak 1945. július 17. és augusztus 2. közötti potsdami tanácskozása jegyzőkönyvének XIII. fejezetéből, amely A német lakosság rendezett áttelepítése címet viselte, kihagyták Jugoszláviát. Titóék ezáltal abszurd helyzetbe kerültek: "rendes" úton ugyanis nem tudtak megszabadulni a lágerekbe gyűjtött német tömegektől.
A létrehozott táboroknak három típusa ismert:
Mindenekelőtt voltak ún. munkatáborok, ahol a németeket, de nemegyszer a magyarokat vagy a magyar lakosság megbízhatatlannak nyilvánított csoportjait rabszolgamunkára kényszerítették. Több településen egy ideig a magyaroknak is megkülönböztető jelzést- fehér karszalagot kellett viselniük. Hallgatólagosan ilyen jellegű munkatábornak tekintették azokat a településeket, ahol a német lakosság létszáma elérte legalább a 300 főt. Az ilyen falvakban, kisvárosokban a kényszermunkára mozgósított lakosság aludni ugyan általában hazajárhatott, de napközben ingyenmunkát végzett a környék nagybirtokain, vagy egy-egy szerb nagygazda földjén. Ez sok helyen a magyarokra is vonatkozott.
Ún. központi munkatábort viszont egy-egy nagyobb településen és járási központban hoztak létre, elsősorban a távolabbról internált munkaképes férfiak részére.
Különleges státusú táborokat a német (és később a csurogi, zsablyai és mozsori magyar) lakosság munkaképtelennek nyilvánított csoportjai számára létesíttettek. E "lógerok"-ba zsúfolták a betegeket, az öregeket, a kisgyermekes anyákat és a gyerekeket. Az ellátás az ilyen helyeken volt a legrosszabb, mindennapos volt az éhezés, a gyógyszer- és sóhiány, nem volt téli tüzelő, a fogva tartottak egy idő után rongyokban jártak, megtetvesedtek, s járványos betegségek pusztítottak közöttük. Jovan Mirković professzor szerint (In Istina... Mešunarodni naučni skup. Zbornik radova, Novi ad, 2004.) a Vajdaságban összesen hat különleges státusú láger működött (mi nyugodtan nevezhetjük ezeket igazi nevükön, haláltáboroknak): Szerémségben a mitrovicai, Bánságban a molini (molindorfi) és a knićanini (rudolfsgnadi), Bácskában pedig a körtési (kruševljei), a gádori (gakovói) és a járeki (Bački Jarak-i).
A tartományi képviselőház által támogatott kutatások eredményeként 2004. szeptemberében napvilágot látott kiadvány (Istina...) több számadatot is tartalmaz a táborokban elpusztult civil áldozatokról. Az adatok bevallottan foghíjasak, nem ölelik fel sem a magyarság, sem pedig a délvidéki németség teljes egészének veszteségeit. A járeki táborról- pedig ez volt az egyik legnagyobb és legembertelenebb- hazai forrásból egyáltalán nem közölnek releváns adatot, nyilván a fentebb már említett okok miatt, viszont hivatkoznak német kutatási eredményekre, szerzőkre. Az ő, szorgos gyűjtőmunka alapján készített becsléseik szerint a Bánság, a Bácska és a Szerémség táboraiban legalább harmincezer német pusztult el, közöttük közel 2500 (kettőezer-ötszáz) gyermek. De vannak kutatók, akik az áldozatok számát ennél is nagyobbnak vélik. A bennünket közelebbről érdeklő járeki haláltábor német áldozataira vonatkozó korábbi becslések az 5240-től a 6536-ig terjedtek.
Egészen a közelmúltig tehát nem rendelkeztünk semmilyen korabeli, teljesnek tekinthető hivatalos adattal arra vonatkozóan, hogy hányan megszűnése haltak meg Járekon. 2010. februárjában azonban váratlan fordulat történt, ugyanis, miközben az anyakönyvek meglevő köteteit tanulmányoztam a helyi iroda szekrényéből minden nehézség és ellenállás nélkül előkerült a megsemmisítő tábor elhunytjairól vezetett három halotti anyakönyv ez idáig "lappangó" (vagy "lappangásra" ítélt?) második kötete is Ennek fényében jelentős mértékben pontosíthatjuk az áldozatok számára vonatkozó eddigi ismereteinket. (Emlékeztetőül: Mészáros Sándor az első és a harmadik kötet ismeretében 1993-ban még mindössze 2376 elhunytról beszélt.)
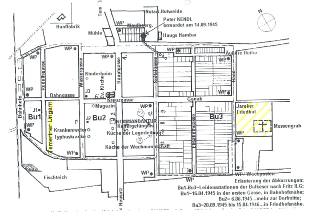
A járeki tábort eredendően az újvidék környéki németség deportálása céljából hozták létre, s 1944. december 3-ától 1946 április 15-éig működtették, vagyis még jóval a Bácska, Bánát és Baranya civil lakosságának megregulázására korábban bevezetett katonai közigazgatás megszűnése, azaz 1945. február 10-e után is. A körzethez hat járás (az újvidéki, a titeli, a zsablyai, a palánkai, a kúlai és az óbecsei) tartozott, valamint egy város: Újvidék. Azonban nem csak ezekekről a területekről kényszerítették a párialétre kárhoztatott embercsoportokat ebbe a "lóger"-ba, de az ország- mindenekelőtt Bácska, Bánság, Baranya és Szlavónia- más településeiről is. A halotti anyakönyvek első ránézésre is árulkodóak: származásuk szerint összesen 125 településről- még Belgrádból, sőt, a távoli Mariborból is -- érkeztek kényszerlakhelyükre, végül pedig az azóta eltüntetett járeki tömegsírok valamelyikébe bűnössé nyilvánított emberek, sőt, a halottak között találunk a lengyelországi Labantból és az oroszországi Harkovból a háború vihara által idesodort áldozatokat is. A tábort önálló parancsnokság (Komanda logora Bački Jarak) működtette, amely az újvidéki körzeti parancsnokságnak (Komanda novosadskog područja) volt alárendelve. A tábor katonai felügyelete a katonai közigazgatás felszámolása után sem szűnt meg, a tábor ellátásának és egészségügyi felügyeletének kérdései viszont immár a különféle szintű államhatalmi szervek, ún. népfelszabadító bizottságok, illetve a Vajdasági Népfelszabadító Főbizottság (Glavni narodnooslobodilački odbor Vojvodine) szakhatósági osztályainak (részlegeinek) hatáskörébe kerültek át.
A tiszaistvánfalvi (vagyis helybeli) németek többsége- engedelmeskedve a Wermacht felszólításának, amit Románia katonai átállását követően adtak ki, s terjesztettek a Délvidéken- már októberben szekerekre rakta legfontosabb ingóságát, s nehéz, kalandos utakon visszaindult ősei 18. században elhagyott hazájába, maga mögött hagyva gondozott, gyönyörű házakkal ékes szülőfaluját, közepén az ágostai evangélikus templommal, előtte a nagy hitújító, Luther Márton szobrával. Azonban a felszólítások ellenére nem kelt mindenki útra. Elsősorban a legöregebbek maradtak itthon. Hogy közülük később hányan váltak az október végi véres napok áldozataivá, azt nem tudjuk. Feltételezhetően nem sokan, hiszen egy ideig maga Tolbuhin szovjet marsall főhadiszállása is Járekon volt (állítólag az impozáns főutcai Wallrabenstein-házban), s az oroszok jelenléte- erre több példa akad a Vajdaság más településein is- nemegyszer gátat szabott a zabolátlan partizánterrornak. Az itt maradt idős járekiak ( körülbelül ötvenen) automatikusan lágerlakókká váltak, hiszen egész falujukat fegyveres őrökkel vették körül. Aki a szökést választotta, az életével játszott, meg egyébként sem lett volna hova menekülnie, legfeljebb a szomszédba, élelmet keresni a mindig segítőkész temerinieknél, ahonnan ekkorra már szintén deportálták a németeket. Temerinben ugyanis december elején kidoboltatták, hogy 6-án minden német jelentkezzen a községházán. Eredetileg nem Járekra szánták a szerencsétleneket, hanem a kisebb, ókéri (ma: Zmajevo) munkatáborba, ahová zuhogó esőben vitték őket e célra kényszermozgósított magyar szekeresek. Egy éjszakát töltöttek itt, majd Járekra lettek irányítva. A partizán fegyveresek, megfélemlítési szándékkal, nagy lövöldözés közepette valamennyiüket átzavarták a német temetőn. Az elhajtottak között akadtak vegyesházasságban élő magyarok is.
Miről tanúskodnak az anyakönyvi bejegyzések?
Az első áldozatokra vonatkozó adatok valójában abba a 300 számozott lapot tartalmazó kötetbe kerültek bejegyzésre, amelyet 1941. június 17-én nyitott meg az akkor még Tiszaistvánfalvának nevezett hely anyakönyvvezetője mégpedig a 25. folyószámmal, amit ugyanebben az esztendőben még 15 bejegyzés követett, 1942-ben és 1943-ban 30-30, 1944 pedig még 19. Az utolsó, még magyar nyelven bejegyzett halott Grőszer Jakabné született Adolf Katalin 21 éves, ágostai evangélikus hitvallású földműves napszámos volt, aki 1944. szeptember 19-én este 9 órakor bélhurutban halt meg.
Az új történelmi helyzet természetesen az anyakönyv lapjain is nyomon követhető. 1944. december 3-ától megváltozik a bejegyzés nyelve és írásmódja: a magyart a cirillbetűs szerb váltja fel. 1944. december 31-ig összesen 86 elhunyt (20-105) adatait regisztrálják. Feladatát a táborparancsnokság kezdettől fogva minden szempontból komolyan vette. Ez megállapítható abból is, hogy a tiszaistvánfalvi jegyző által magyarul vezetett, és 1944. szeptember 20-án abbahagyott halotti anyakönyvet a tábor létrehozásának első napjától kezdve folytatni kezdték. A koncentrációs tábor halotti anyakönyvének első adata Lotbrajn Jovanra (nyilván Lotbrein Johann) vonatkozik. A 68 éves földműves még december 2-án hunyt el, ha hihetünk a bejegyzésnek, agyhártyagyulladásban. Halálát Valrabenstejn Jovan (Wallrabenstein Johann) jelentette, vagyis még nem a később kötelezően bejegyzett 107-es paragrafus alapján anyakönyveztették, amiből arra lehet következtetni, hogy ő még nem volt lágerlakó, azaz a járeki tábort december 2-a és 6-a között kezdték működtetni. Közvetve ezt bizonyítja két jóval későbbi, egész pontosan 1945. január 1-jei anyakönyvi bejegyzés is, mely 1944. december 4-én délelőtt 10 órára datálja a járeki 405. számú ház lakóinak, Majer Franja (nyilván Meier v. Maier Franz) élelmiszerkereskedőnek és feleségének, Katarinának önakasztással elkövetett suicidumát.
December 31-éig a kíméletlen bánásmód, az éhezés és a betegségek következtében az anyakönyv tanúsága szerint 85-en haltak meg, zömmel idősebb, a nevük alapján német nemzetiségű személyek.) Az 1944-ben elpusztultak között palánkait, újvidékit, újsóvéit, ókérit, bulkeszit, torzsait, ó- és újfutakit, titelit, csébit, dunabökényit, sajkásszentivánit, kiskérit, sidit, szépligetit, bácsfeketehegyit, kátyit, tiszakálmánfalvit egyaránt találunk. De már az első napokban meghal két temerini is, hiába a szülőfalu közelsége és segítsége: december 17-én leheli ki lelkét Graf Leopold 75 éves római katolikus kőműves -- állítólag végelgyengülésben -- két nappal később pedig Wolpert József 46 éves római katolikus földműves -- a beírás szerint szívbajban. A szívbaj egyébként gyakori halálok, alig tizennyolc nap alatt 11-en pusztulnak el tőle, később pedig még 17-en.
A következő év adatai -január 1-jétől egészen július 17-éig- ugyancsak ebben a- nevezzük így- I. (első) kötetben találhatók, összesen 1602 halott adataival. 1945 példátlanul hideg januárját követőn észrevehetően megnövekszik a tüdőgyulladásban elhaltak száma, de a bélhurutban elpusztultaké is. Köztük öregeket és gyermeket egyaránt találunk. És a táborlakók számára éppen az utóbbiak szenvedése és halála okozta a legnagyobb megrázkódtatást. Elsőként a pici, mindössze kétéves Perbaj Anna halt meg december 18-án légcsőhurutban. Okkal kérdezhetjük: ő vajon milyen háborús bűnt követett el?
Magyar szempontból ezek a hónapok a leginkább figyelemre méltók: január 23-ától kezdődően megszaporodnak a magyar elhunytakra vonatkozó bejegyzések. Kezdetben Csurog és Zsablya, később Mozsor is gyakran szerepel, de kerültek a koncentrációs táborba magyarok meghalni más településekről is.
A közelmúltban "előkerült" (szerintem soha el sem veszett) II. kötet a legvaskosabb- talán ezért is "lappangott" ennyi ideig. Mivel anyaga kronológiailag 1945-re vonatkozik, értelemszerűen az 1603-as folyószámmal folytatódik -- vagyis ott, ahol az első kötet véget ért. Az 1945. december 31-én bejegyzett utolsó elhunyt az 5442-es sorszámot kapta, 1945-ben tehát ennyien (!) pusztultak el Járekon. El tudjuk gondolni, hogy ez mekkora tömeg?! És mégis, a sírok mára eltűntek nyomtalanul. Nyomtalanul? Nem is olyan biztos...
A III. (harmadik) anyakönyvet a szerb nyelvű, latin betűs címlap szerint 1946. január 8-ától április 15-éig vezették. Ez azonban nem igaz, ugyanis az anyakönyvet később újraszámozták, de a folyószámokat már nem lehetett megváltoztatni, így az anyakönyv nem az 1-essel, hanem a 127-essel kezdődik, vagyis összesen 21 lapot utólag eltüntettek. Ki tudja, miért? Ha arra gondolunk, hogy a szájhagyomány kivégzésekről is tud a táborban, akkor akár ez is lehetett az egyik oka a lapok eltűnésének, de természetesen ez csupán egyike a lehetséges feltevéseknek. 1946-ban a 901., s egyben utolsó áldozat egy 48 éves temerini német asszony, Inhof szül. Reger Terézia, aki- élete virágjában -- kimerültségben halt meg. De elgondolkodtató egy másik temerini sorsa is: Majer András (Andrija) 67 éves római katolikus napszámost (879. bejegyzés) négy nappal a tábor végleges felszámolása előtt lelőtték!
Azzal, hogy előkerült a járeki "lóger" halotti anyakönyveinek második kötete, sokkal pontosabban fölmérhetjük a táborban zajlott genocidium méreteit. Eszerint tehát a Bački Jarak-i haláltáborban- remélem, ezek után senki sem fogja kétségbe vonni e rettenetes elnevezés indokoltságát- 1944. december 3-ától 1946. április 15-éig összesen **6429 **személy pusztult el a legembertelenebb körülmények között. Mindez ettől a pillanattól kezdve nem puszta feltevés, hanem a totalitárius államaparátus urainak akarata szerint papírra vetett egykorú adatokkal alátámasztható tény, amit Szerbiában itt-ott talán továbbra is lehet majd tagadni, csak éppen nem érdemes.
A gyermekek sorsa
Az új adatok ismeretében módosítanunk kell a koncentrációs tábor gyermekáldozataira vonatkozó eddigi ismereteinket is. A Mészáros Sándor által feltárt 386-tal szemben a gyermekáldozatok száma az első olvasat alapján a haláltábor tizenhat és fél hónapja alapján 955.
Túlnyomó többségük német származású, de a magyar gyermekáldozatok száma is megközelíti a 90-et. A németek ágostai evangélikus, református és római katolikus felekezetűek, a magyarok nagy többsége római katolikus, közöttük más vallásúakat csak mint vegyesházasságok leszármazottait találjuk. Meg kell említeni, hogy egy pravoszláv hitfelekezetű szerb kisfiú is van a halottak között, hogy miként vetődött a táborba, egyelőre nem tudjuk. Az elhunyt gyerekek nagy többsége tíz éven aluli, sok közöttük a néhány napos, néhány hetes vagy hónapos csecsemő. A halotti anyakönyvek arra nézvést nem nyújtanak fogódzót, hogy megállapítsuk, a tábor lakó között a közel másfél év rabélet során hány gyermek fordult meg, azt azonban egy 1945. február 22-én keltezett hivatalos levélből tudjuk hogy az újvidéki kerület katonai parancsnoka, Prodanović százados a járeki tábor parancsnokságához intézett utasításában ezer fogoly gyerekről beszél, és ellátásukra hatvan liter tej beszerzését rendeli el.. («Neka Komanda mesta organizuje izdavanje 60 litara mleka za Komandu logora Novosadskog Područja u Bačkom Jarku, a radi ishrane oko 1000 dece.») Könnyű kiszámítanunk, hogy egy-egy gyermeknek jóformán két gyűszűnyi tej juthatott volna, ha egyáltalán eljut hozzájuk. De a legtöbb esetben erről szó sem eshetett. A Járekra zsúfolt többezer szerencsétlen úgy találta fel magát, ahogy tudta: kezdetben még leltek ezt-azt az elmenekült járeki őslakók tartalékaiból, később a gabonaneműeket és a górékban hagyott kukoricát ették meg. A nagyobb gyerekek, ha sikerült kiszökniük, a közeli Temerinbe jártak át élelmiszert kunyerálni. De szívükre hallgatva a temeriniek közül nagyon sokan más útját-módját is megtalálták, hogy csomagokat juttassanak be éhező szomszédjaiknak, ismerőseiknek. Mindez azonban legföljebb csak enyhítette az éhezést, de megszüntetni nem tudta.
A körzeti katonai elöljáróság képtelen volt megoldani ilyen jelentős embertömeg élelmezését- de hát a tábort nem is azért hozták létre. Ugyancsak 1945 februárjában a körzeti parancsnok száz-száz mázsa krumplit és babot és 10 mázsa hagymát utal ki a tábor számára, ezenkívül a gyerekeknek 100 kiló szappant és- írd és mondd: -- 25 darab fésűt! Nem csoda, hogy ilyen körülmények között mind a felnőttek, mind a gyermekek pszichofizikai ellenállóképessége gyors iramban romlik. 1945 áprilisától nagy mértékben növekszik az elhalálozottak száma: innentől kezdve havonta százával hullanak az emberek. A gyermekek között 1945 júliusa és augusztusa végzi a legnagyobb aratást, mindenekelőtt különböző járványos betegségek képében. A tábor orvosa által összeállított, és a tábor parancsnoka, vagyis a «Komandant Đoka» által aláírt, az újvidéki körzeti népegészségügyi osztály számára készült statisztika szerint még 1946 januárjában is vezető halálok a nem megfelelő élelmezés (dystrophia) oko














